NAVIGATE YOUR SUPERYACHT CAREER TO SUCCESS WITH SEASCOPE FRANCE!
NAVIGATE YOUR SUPERYACHT CAREER TO SUCCESS!
Skip to content

ON POINT

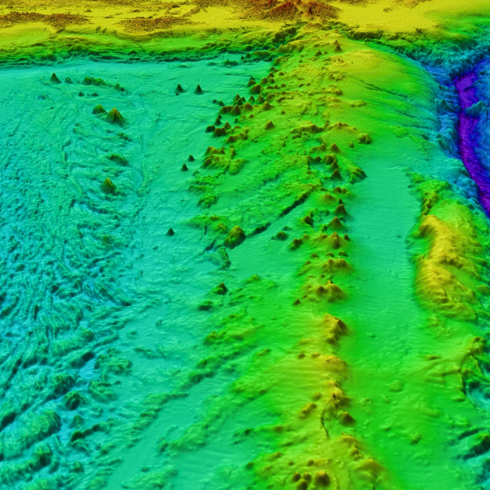
    Calling all Captains! Help Map our Oceans!
    November 20, 2023

    Calling all Captains! Help Map our Oceans!

    As of September 2023, 75% of the world's seafloor remains uncharted, prompting an urgent call to action led by the International Hydrographic Organization (IHO). The Nippon Foundation GEBCO Seabed 2030 Project aims to map the entire ocean floor by 2030, and yacht owners/captains are invited to contribute crucial depth data.  

    Read now